Bridge House on East Quay is one of the oldest buildings on the river front, but sadly dilapidated at the time of writing in 2025. It should be one of the grandest features of the town centre.


Eighteenth Century
Eighteenth Century The house is primarily early- to mid-eighteenth-century, albeit with an early nineteenth-century facelift that added ornamental details around the windows and the distinctive ‘stucco’ blockwork. The original eighteenth-century staircase survives within, along with numerous other historic features.
We do not currently know who built this house, or much about its first hundred years. Eastover was devastated during the Parliamentary storm of Bridgwater in 1645, so any medieval features here would have been swept away.
Wonderfully, the building is recorded in John Chubb’s illustration of the town bridge made just before 1794. Here we see it in its plainer eighteenth-century appearance—three storeys and essentially as it survives today.

The plot on which the house stood is recorded in the 1810s Town Plan. This shows the house and a notable projection onto the quay, which was once its railed garden. The large plot behind was presumably originally a garden, although it may have always been a yard for storing goods coming in from the quay.

Frederick Axford
The house enters the historical record in 1835. It is mentioned in passing in relation to the property that stood to the north (which is now Watson’s Lane). That property was owned by the town and held by a Willam Baker, a block maker in the nearby East Quay shipyard. But in outlining the extent of that property, it is described as bounding ‘Mr Axford’s Warehouse’. This tells us that the big warehouse, numbers 5 to 7 East Quay, had now been built.
Mr Axford described here is Frederick Axford. He seems to have been baptised in St Mary’s Church on 21 February 1789, the son of Richard and Frances Axford. He died sometime before 1860. From later records we learn that Axford acquired the property in the 1820s. The adjoining warehouse was then built by 1835, and this may have been when the big house was given its stucco facelift – to distinguish the gentleman’s house from the building devoted to trade.
In the 1841 Census we find Frederick Axford, aged 50, merchant with his wife Elizabeth, aged 45 and their children Mary and John, both aged 15. Also living there was a guest, Mary Wood aged 12. There were two servants, Elizabeth Wills and Ann Chorley. They do not appear in the 1851 census here – Frederick was away on business and described as merchant and magistrate. Instead number four seems to have been occupied by the family of Richard Thomas, ‘accountant to a brick and timber merchant’. Presumably the Axfords were living elsewhere and letting their townhouse to their employee.
In 1851 the Axfords purchased a large ship, the Pathfinder, with the intention to run emigration voyages from Bridgwater to New York via Canada.
An extensive and detailed description of the house is given in the Exeter and Plymouth Gazette, for 20 October 1860. This tells us a lot about Axford’s business and the properties. It also tells us that since 1835 he had acquired on lease adjoining properties to the north:
BRIDGWATER, VALUABLE BUSINESS PREMISES To be sold by auction by Mr Bowditch, at the Globe Hotel, on Wednesday 31st October 1860 at three for four o’clock in the afternoon in one Lot (unless previously disposed of by Private Contract, of which due notice will be given), all that commodious and substantial
MESSUAGE or DWELLING HOUSE, LAWN and PREMISES situate on the Eastern Quay, and adjoining the River Parrett, at Bridgwater, the residence of the late Frederick Axford, Esq., comprising spacious dining and drawing rooms, breakfast room, seven good bedrooms and two counting houses, with necessary kitchens and offices.
Also, all that substantial and well-erected WAREHOUSE or STORES, three stories high, with a river frontage of 51 feet, or thereabouts, also lying on the Eastern Quay and adjoining the before mentioned Messuage, with the Saw Pit, Yard and capacious Timber Shed behind the same.
Also, all the MESSUAGE or DWELLING HOUSE also situate on the Eastern Quay, at Bridgwater, and lying adjoining the last mentioned places, being a very convenient and comfortable residence for a respectable foreman. This messuage is held by lease, dated 1st January 1850, granted by the Mayor, Aldermen and Burgesses of the Borough of Bridgwater for a term of four score and nineteen years, determinable on the several deaths of Edward Needs Bulpin, Richard Axford and the Princess Royal of England and the life of the longest liver of them, with a covenant for perpetual renewal of the lives on payment of the sim of £4 for each life, but subject to the yearly rent of 15s.
And also that PLOT or PARCEL of LAND lately used by Messrs Axford and Greenslade as a timber and slate yard, and on part whereof their steam saw mills were erected, together with the coach-house, large stable, and buildings thereon, and which said Plot of Land also fronts the river, and lies adjoining the before mentioned premises. The same is held by lease under Mayor Aldermen and Burgesses of Bridgwater for the remainder of a term of ten years, commencing on the 29th day of September 1856, subject to the yearly rent of £26.
On the above very desirable and commodious premises a lucrative trade of a timber, deal and slate merchant, has been carried on by the said Frederick Axford and his sons, for more than forty years, and as they are adjoining the river and very near the Junction Railway, they present an almost unrivalled situation of the above or any other business.
George Pain solicitor, October 10th 1860
Post Office and James Harwood
The purchaser of the properties was James Harwood, who seems to have been a self-made man. He had been born in about 1825 in Pitminster, the son of Hugh Harwood, a labourer, and his wife Charlotte. In the 1841 census, the 16-year-old James was working as an agricultural labourer. By the 1851 census James had moved to Bridgwater, married a woman called Rebecca, a dress maker, and they had set up home in a house somewhere between Valetta Place and Russell Place. His occupation was given as ‘sawyer’, so he presumably worked either in the Saltlands shipyard, or possibly for Axford in the above mentioned steam saw mill.
In 1854, however, James seems to have established himself as an independent timber merchant in Eastover. In an advertisement for some of his timber in the Bridgwater Mercury in February, March and April 1859 he ‘begs respectfully to return his sincere thanks for the patronage he has received for the past five years’.
Exactly where he was working from in Eastover is unclear – he may have already had something to do with the Axford properties, although he may have been a rival elsewhere. Either way in 1860 he purchased the Axford business.
However, he seems to have immediately leased the big house to the post office, as in January 1861 the town’s post office was moved here from St Mary Street.[1] While Harwood was establishing himself in the trade, he may have thought that the income from leasing the property to the post office would have given him an additional secure revenue stream. In the 1861 census the first property in East Quay was occupied by the family of William T. Mitchell, the postmaster. The next property was occupied by James Harwood, timber merchant. Either the Harwoods were living in part of the warehouse building, or it may be the big house was divided in two, part for the post office under Mitchell and part for the Harwoods.
In 1865 we have our first photographs of the building, which show the railings, as well as some interesting awnings over the first storey windows.



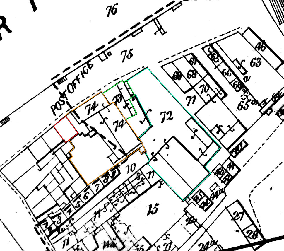
That same year we also get a picture of Harwood’s business activities, through the survey carried out as part of a submission to Parliament in support of a scheme for a new railway, which would connect Bridgwater to the Somerset and Dorset Railway. Although the big house was just outside of the survey area, the following properties were used by Harwood.

72 Timber yard, sheds, stables, dwelling house and buildings. Owned jointly by the Mayor, Aldermen and Burgesses of the Borough of Bridgwater and James Harwood, occupied by James Harwood
73 Dwelling house, outhouses and offices, owned and occupied by James Harwood
74 Store building and wharf owned and occupied by James Harwood.
In the 1871 census there is only Harwood’s family noted living in 4 to 7 East Quay. Either the postmaster was living elsewhere, or the institution had moved out. In 1874 a purpose-built post office was added to the Cornhill Market House complex, which probably opened in 1875.[2]
The later 1870s seem to have been a hard time for Harwood. In 1877 the company’s foreman John Caswell was killed in a road accident while acquiring timber from Enmore.[3]
In the West Somerset Free Press 22 May 1880 James’ entire stock was listed for auction ‘disposed on in consequence of the proprietor’s continued ill-health’. It is not clear if the East Quay properties were sold at this point, although James seems to have continued trading thereafter. By April 1881 the Harwoods had moved to 11 Monmouth Street. James was described as ‘timber merchant employing 1 man and 1 boy’. There was no one recorded living in the properties on East Quay in that year’s census, so they were presumably turned over entirely to warehousing and offices. In June 1881 it seems that James had gone bankrupt. The solicitors of Reed and Cook advertised the sale of James’ book debt of £1,819. Essentially the purchaser of this debt would pay off James’ creditors, and then James would pay off the debt directly to that person in instalments.[4]

The East Quay properties were again devoid of occupants in the 1891 census. Harwood’s business presumably continued, although does not appear often in the records. Oddly the 1883 Whitby Directory for Bridgwater lists James Harwood, Timber Dealer in Salmon Lane. In the 1891 census James and his new wife Mary were living in 25 Monmouth Street.
Wilkinson and Leng
We see a revival in the East Quay properties’ fortunes in 1897, when the firm of Wilkinson and Leng, General Builder’s Merchants of Bath Road, advertised a sale prior to their move to premises on East Quay.[5] As such, in the 1901 census we find number 4 occupied by Thomas Wilkinson, aged 46, a slate and marble manufacturer and builders merchant. This is also the first time we find the property called ‘Bridge House’.

Although Wilkinson and Leng seem to have prospered for a long time in this property, Bridge House would not be Wilkinson’s home for long, and for much of the following century it seems to have been rented out. In the 1911 Census therefore we find that it occupied by Isabella Phillips, a 58-year-old widow, living on her own private means, living with 30 year-old-daughter Annie, and 29-year-old son William Herbert, an organist and choirmaster. All three from Birmingham. The 1911 census had a special section asking for the number of rooms in a property (including the kitchen, but not scullery, landing, lobby, closet, bathroom, warehouse, office or shop) and Bridge House had ten. Isabella and William were still there in 1921.

In the 1937 Whitby Light and Lane Directory for Bridgwater, the occupants of number 4 East Quay were Miss M.A. Lyons, W.V. Roberts and S. Western, listed as three separate households. Nos 6 and 7 were recorded as Wilkinson and Leng. This would suggest that Bridge House may have been divided into flats. In the 1939 directory we again find Miss M.A. Lyons and separately F.J.M Roberts.

In 1960 Kelly’s directory number 4 was occupied by H.G. Rabbage. By 1967, however, numbers 4-7 East Quay were all occupied by Wilkinson and Leng Builders’ Merchants, and the General Motor Company (Bridgwater), indicating that Bridge House ay have been used as offices, rather than as a dwelling. In 1974 Kelly’s Directory numbers 4-7 were occupied by Wilkinson and Leng also a John Tottle.

Linda Prew (with kind thanks for her sharing her memories) worked for the company in the 1970s and recalled that the shop in numbers 5-7 was very old fashioned, and there was sold small items like paint nuts and bolts. Behind the shop, accessed from the road by the river, was the yard. In number 4 was Mr Bret’s office. Upstairs was bathroom furniture and an additional office. Across the road was a cabin where wagon wheels were sold.
Wilkinson and Leng were still operating in 1980, although ownership since then is unclear.[6] Wilkinson and Leng were taken over by Bradfords and the operation moved to Bristol Road (with thanks to Roy Snook)
Now
For a number of years numbers 4 to 7 became a careers service, and a number of plans for a refurbishment in 1983 and 1984 are kept in the Somerset Heritage Centre. Planning documents reveal that in 2002 numbers 4 to 7 were owned by Somerset Careers.
A Mr Hall had purchased 5-7 by 2004. A Mr A Ulgut owned those by 2013, Mr Ulg by 2018.
Bridge House seems to have been derelict for many years. The below picture was taken in October 2012, at which time it was for sale. A Mr Lovell applied for planning permission for change of use from office to an HMO in 2019, which would have returned this building to its original domestic use. This was granted, although nothing carried out. Swedesh Properties Ltd again applied for similar plans in 2022, again these were granted, but no work seems to have yet been carried out.

MKP 14 June 2025
[1] Squibbs, History, 83
[2] Lawrence, History of Bridgwater, 150, Squibbs, History, 90
[3] Somerset County Gazette, 14 April 1877
[4] West Somerset Free Press, 25 June 1881
[5] Bridgwater Mercury, 10 November 1897
[6] Western Daily Press 3 March 1980
